¡¡¡Hola Belug@s!!!. Viajar por las Maldivas no tiene por qué ser sinónimo de resorts de lujo ni de playas privadas a precios astronómicos.


Existe otra forma de conocer el país: alojarse en islas locales, convivir con su gente y descubrir un océano que vibra con vida en cada rincón. En este recorrido por Thoddoo, Rasdhoo y Dhigurah, tres islas con personalidades completamente distintas, descubriréis una Maldivas real, cercana y más sorprendente que cualquier postal.
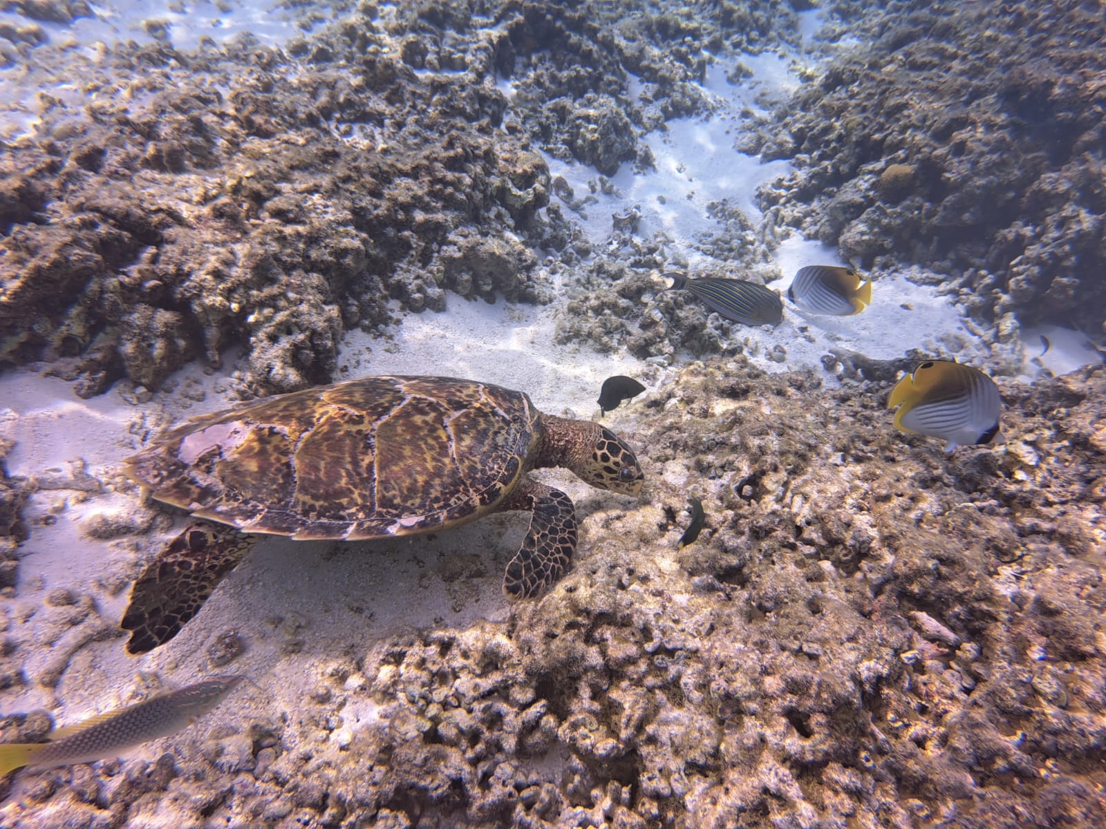
Thodoo: el paraíso rural donde mandan las tortugas
Nuestro viaje comienza en Thoddoo, una isla que mezcla plantaciones de frutas, playas casi desiertas y uno de los mejores snorkels desde la orilla de todo el país.


Thoddoo es conocida como el huerto de las Maldivas: a medida que caminas entre sus senderos de arena, os acompañan cultivos de papaya, mango y, por supuesto, sandías, su producto estrella. Todo aquí es tranquilo, casi meditativo, como si la isla invitara a bajar el ritmo desde el primer minuto.





Pero la verdadera magia de Thoddoo está bajo el agua. Su bikini beach es un punto excelente para ver tortugas verdes nadando entre corales a poca profundidad. Basta ponerse la máscara y avanzar unos metros para encontrarse en un escenario digno de un documental.

















Los peces multicolores os rodearan mientras pequeños tiburones de punta negra cruzan con elegancia.
Y de nuevo fuera del agua, los atardeceres regalan un cielo que se va encendiendo entre palmeras y barcas de pescadores, la guinda del pastel para rematar una experiencia única.








Pese a su tranquilidad, la isla tiene un carácter muy auténtico. La vida local se mezcla con los viajeros que pasean descalzos o pedalean hacia las playas en bicicleta. Por la noche, si el cielo está oscuro, es posible ver bioluminiscencia en algunas orillas: el mar se ilumina con un azul eléctrico que convierte cada paso en un destello. Thoddoo es naturaleza pura y un refugio perfecto para quienes buscan calma sin renunciar a un mundo marino vibrante.
Rasdhoo: aventura submarina y hogar de mantas y tiburones nodriza
La siguiente parada en nuestra ruta es Rasdhoo, una isla que late con más energía, muy conocida por su vida submarina y por ser uno de los mejores lugares del mundo para avistar tiburones martillo.
Aquí el ambiente es más animado, con buceadores que llegan desde todas partes para sumergirse en el famoso Hammerhead Point, un lugar mítico que regala encuentros inolvidables al amanecer.








Rasdhoo, sin embargo, no es solo para expertos del buceo. Su bikini beach ofrece un snorkel accesible, lleno de corales que se recuperan poco a poco y peces que colorean cada rincón. En sus aguas tranquilas suelen verse tortugas, tiburones de arrecife juveniles y rayas que se deslizan cerca de la arena. La playa tiene ese azul intenso que parece editado, pero no lo está: simplemente forma parte de la paleta natural de esta zona del atolón.


















Más allá del mar, la isla sorprende por su ambiente acogedor. Las calles son pequeñas y sombreadas, las casas mantienen el estilo maldivo tradicional y los cafés ofrecen zumos frescos y platos caseros donde el pescado es el protagonista.











Al caer la tarde, la vida se concentra en el paseo junto al mar, donde viajeros y locales comparten la brisa y la calma después de un día lleno de aventuras. Rasdhoo combina días de relax con emociones fuertes bajo el agua.
Dhigurah: la isla salvaje de los tiburones ballenas
Dhigurah es una de esas islas que parece diseñada con pinceladas de ensueño. Su nombre, que significa “isla larga”, no podría ser más acertado: un estrecho brazo de arena que se extiende más de tres kilómetros, rodeado de vegetación densa y playas interminables. Esta isla es sinónimo de naturaleza salvaje y aguas llenas de vida, y se ha convertido en uno de los mejores lugares del mundo para ver tiburones ballena durante todo el año.


Nadar con tiburones ballena es una experiencia casi espiritual. Desde Dhigurah las excursiones parten diariamente y no es raro que, a los pocos minutos de navegar, aparezca un gigante moteado a escasos metros de la superficie. Saltar al agua y nadar junto a él es algo que se queda grabado para siempre, no solo por su tamaño, sino por la serenidad con la que se mueve.






Pero Dhigurah guarda más tesoros. Su bikini beach se extiende a lo largo de gran parte de la isla, perfecta para caminar durante horas sin ver a casi nadie. En la zona sur, el paisaje se vuelve aún más salvaje, con aguas poco profundas donde nadan pequeños tiburones de punta negra.













El ambiente es joven y relajado, con alojamientos modernos y cafeterías decoradas con un estilo cuidado que enlaza a la perfección con la esencia tranquila de la isla.
Información práctica para visitar Thodoo, Rasdhoo y Dhigurah
Cómo llegar desde Male
Thoddoo se encuentra a aproximadamente 1 horas u 1 hora y nedia en speedboat desde Malé, aunque también hay ferries locales más económicos y lentos. Rasdhoo cuenta con conexiones regulares en speedboat y ferry desde la capital, mientras que Dhigurah, en South Ari, puede alcanzarse mediante speedboat, en 2 horas, o combinando vuelo doméstico a pistas cercanas y bote.

La mayoría de los alojamientos locales ofrece coordinación de transfers, lo que facilita mucho la logística. Preguntad y ellos os ayudarán y facilitarán la reserva.
Mejor época para viajar
La temporada seca, de diciembre a abril, ofrece cielos despejados, aguas tranquilas y excelente visibilidad para snorkel y buceo. Durante el monzón, de mayo a octubre, se experimentan lluvias y más viento, pero los precios son más bajos y la isla recibe menos turistas. Para avistamientos marinos, tiburones ballena, mantarrayas o tiburones martillo, conviene consultar con operadores locales sobre los mejores meses según la especie.
Alojamiento y presupuesto
Las guesthouses son la opción más común y económica, con precios entre 40 y 150 dólares por noche según la temporada. La comida local suele costar entre 10 y 15 dólares por plato, y las excursiones varían entre 25 y 90 dólares dependiendo de la actividad.
Un presupuesto diario razonable va de 60 a 250 dólares por persona para una combinación de alojamiento, comidas y tours. Los resorts privados cercanos son mucho más caros, a partir de 400 dólares por noche, y generalmente solo se visitan mediante day passes o excursiones si no estáis alojados en ellos.
Normas locales y culturales
Estas islas son mayoritariamente musulmanas, por lo que se recomienda vestimenta conservadora fuera de playas turísticas.



El alcohol está restringido a resorts o zonas autorizadas. Los viajeros deben respetar la vida marina: no tocar corales, no interferir con tiburones o mantas y seguir las indicaciones de guías durante excursiones.
Moneda y pagos
La moneda oficial es el Rufiyaa maldivo (MVR), pero el dólar estadounidense es ampliamente aceptado en alojamientos y tours. Se recomienda llevar algo de efectivo y una tarjeta para pagos más grandes.
Qué llevar en la maleta
En vuestra maleta no podéis olvidar: pasaporte vigente, protector solar reef-safe, ropa ligera y alguna prenda para cubrir hombros y rodillas. Snorkel propio, que es opcional pero recomendable, toalla ligera, adaptador tipo G, bolsa estanca para el teléfono y efectivo. Por supuesto, esto es un básico y deberéis añadir cosas de vuestra elección.
Recorrer Thoddoo, Rasdhoo y Dhigurah es descubrir tres caras muy diferentes de un mismo país. Thoddoo te recibe con calma y naturaleza; Rasdhoo te regala aventura y vida submarina; Dhigurah te conecta con la grandeza del océano a través del tiburón ballena. Juntas, forman un itinerario perfecto para quienes quieren vivir unas Maldivas auténticas, sostenibles y llenas de momentos que no se olvidan.
Estas islas demuestran que la verdadera esencia de Maldivas no está solo en resorts exclusivos, sino también en playas largas, arrecifes vibrantes, atardeceres infinitos y encuentros con la fauna marina que transforman cualquier viaje en una experiencia única.
